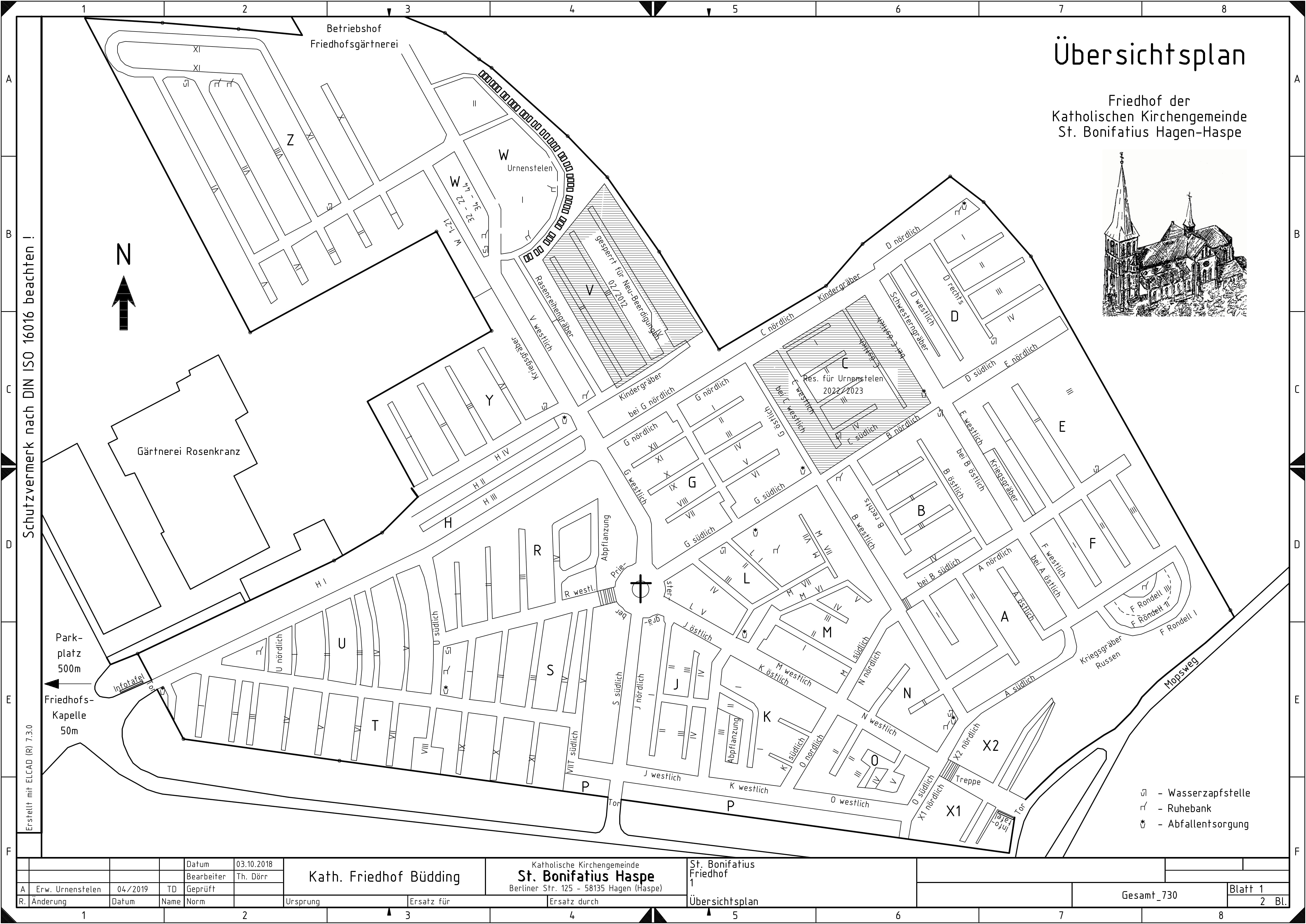
Der Friedhof "Am Büddinger Kämpchen" ...
24.09.24


Friedhofsverwaltung:



- Frau Sandra Koenig verwaltet unseren Friedhof



- Telefon-Nummer
Telefon ...
02331 4849641
- Telefax-Nummer
Telefax ...
02331 41046
- E-Mail
E-Mail ...

Bürozeiten
- dienstags von 11.00 Uhr bis 12.30 Uhr
- donnerstags von 09.30 Uhr bis 11.30 Uhr

Außerhalb der Bürozeiten ist ein Anrufbeantworter aktiv, auf dem Sie gerne Ihre Nachricht hinterlassen dürfen. Frau Koenig meldet sich schnellstens zurück.





Die neue Urnenstelen-Anlage

   

 
Betr.: Rasengräber
Aus gegebenem Anlass weisen wir darauf hin, dass ein Ausschmücken der Rasengräber nicht gestattet ist, außer im Monat November (Allerheiligen, Totensonntag). Sollten die Nutzungsberechtigten auf den Gräbern außerhalb des Monats November etwas auf den Gräbern stehen oder liegen lassen, werden diese Dinge vom Friedhofsgärtner unangekündigt und vollständig entsorgt, damit er die Rasengräber ungehindert mähen und pflegen kann.

Der Kirchenvorstand / Die Friedhofsverwaltung

 

 

Friedhofsträger:
Katholische Kirchengemeinde St. Bonifatius Haspe
58135 Hagen, Berliner Str. 125
Telefon: 02331 41106
Telefax: 02331 41046
E-Mail: E-Mail an ... pfarrbuero@st-bonifatius-haspe.de
Internet: » www.st-bonifatius-haspe.de

Friedhofsverwaltung:
Sandra Koenig
58135 Hagen, Berliner Str. 125
Telefon: 02331 4849641
Telefax: 02331 41046
E-Mail: E-Mail an ... friedhof@st-bonifatius-haspe.de

Friedhofsgärtnerei:
Blumen Rosenkranz
58135 Hagen, Mopsweg 6
Telefon: 02331 406095
Telefax: 02331 406098
E-Mail: E-Mail an ...  info@blumen-rosenkranz.de
Internet: » www.blumen-rosenkranz.de

 



 

Zum Ansehen
und Drucken
benötigen Sie den
"Acrobat-Reader",
den Sie hier herunterladen können!
Bild



 
Hier einige Ansichten des Friedhofs, die nach Anklicken vergrößert werden.
F501 F502 F503 F504 F505 F506 F507










Schreiben Sie der Friedhofsverwaltung eine E-Mail, wenn Sie weitere Informationen haben möchten:
E-Mail an ...  friedhof@st-bonifatius-haspe.de